Council OKs 117 Lot Subdivision
3 Subdivisions Approved This Year On Buffalo Road In Smithfield City Limits Will Add 497 Total New Homes
SMITHFIELD – Another major subdivision will be constructed on Buffalo Road after a split vote by the Smithfield Town Council.
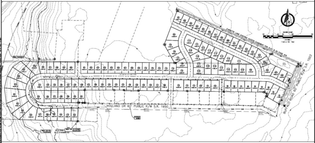
Village on the Neuse LLC received rezoning approval for two adjacent parcels of land, 34.2 acres and 7.9 acres, from R-20A to R-8 Conditional zoning with a master plan for a 117 lot detached single family subdivision.

The proposed development will access Buffalo Road with a new street between Holland Drive and Everette Lane, just south of Smithfield Middle School. The subdivision will connect to the end of Holland Drive, creating a loop.
Some council members were concerned the Holland Drive connection would increase traffic on the existing residential street and increase stormwater run off to established homes in the area.
The 117 proposed homes would be built on lots averaging 8,000 sq. ft (0.183 acres) each.
The council requested the developer adhere to architectural standards similar to the 210-lot Buffalo Ridge subdivision approved in September. Buffalo Ridge will be constructed south of Holland Drive.

The Village on the Neuse developer will also be required to perform a traffic study, and build only single-family detached homes (and no future changes or amendments to multi-family apartments or townhouses).
Councilmen Travis Scott and Steve Rabil voted against the subdivision rezoning. Councilmen Sloan Stevens and Roger Wood voted in favor. Having a two-to-two tie, Mayor Andy Moore broke the tie, casting a vote for passage of the rezoning request during the Dec. 3 meeting.
In July, the council approved a 170-lot subdivision on Buffalo Road near Bradford Park.
Three council members were absent from the Dec. 3 meeting, Marlon Lee, John Dunn, and David Barbour.
Discover more from JoCo Report
Subscribe to get the latest posts sent to your email.
14 Comments
Comments are closed.













Unreal. Used to be so peaceful 20 years ago. Now, over crowded, more work on the roads & hi ways for all the traffic, guess who pays for all this??
This is so true they’re destroying the planet slowly
@RC: You treehuggers are the problem… always wanting to tell other people what they can do! If you wanted to “preserve” the land, YOU should have purchased it.
I love open land for animals and humans as much as anyone – however I also realize that JoCo is one county over from the state capital thus it was always bound to grow and develop. I would guess that most every state has the same growth pattern: the closer a county is to the capital (or other large city) the more people live in the surrounding counties. Most places sadly have to handle the growth backwards. Meaning they don’t have the roads, schools, retail etc., already in place before the growth spurt so there are growing pains. It has taken JoCo a fairly long time to become less rural. We have and have had for quite a while a lack of decent rental housing which drives the prices up. Also many of the older charming homes have become dilapidated thus expensive to rehab- either to sell or rent. We also have very few companies or organizations throughout the county that pay well. As with any place that grows there will be some people who can longer afford to live here. That is a shame but it happened to many people living in Cary, Apex, etc., when they too were small and rural. The opposite of growth and progress is death and stagnation….so it is always best (in most if not all)things in life to find the middle ground.
Sorry for any typos I misplaced my readers….
Well said!
By “they” you mean humans correct? Yes, we are. Every place on earth a human touches gets destroyed. When the Europeans came over, they pillaged as much as they could- they cut down all trees they could get their hands on, they destroyed the rivers, the oceans, lakes, and ponds by polluting them, then when they discovered the then abundance of natural resources they did whatever they could to get to them– now even going as far as removing whole mountain tops just to get the coal.
Look at what is happening to the Amazon rainforest….. Human greed knows no bounds…..
Good, destroy it all so we don’t have to listen to your grand children spew the same nonsense you are spewing.
I don’t want to destroy the Earth. I do try my best to do what I can (it is small in the grand scheme of things) to make things better. I plant trees, I don’t like pesticides and use them sparingly. I try and recycle. I have small parcels of land in a few states . I have much wealthier relatives who own a lot of land in another state and that is set up in a trust for several generations – so it won’t be sold in my or my kids lifetime. Maybe great grandkids time….
I despise mountaintop mining since we really aren’t growing new mountains.
What do you have against my grandkids? They are all smart, law-abiding, respectful, witty and doing the best they can in school, work and in life….
You need to go play with some muppets and chill the heck out…
If you think us humans destroy everything, we touch then you need to stop touching things!
When is enough enough?????????
Go ahead and get started widening buffalo rd instead of waiting until its a nightmare to drive every day
Exactly. Being proactive, when one can, is a massive step in the right direction.
Roads, schools, green space for recreation, need to already be in the works because like it or not, joco is growing. Make sure our residents and those moving here don’t have to suffer needlessly. We can’t stop the growing pains but we can ease them.
Thank goodness. We need more traffic, congestion, crime,police, fireman, sewer classrooms, teachers, electric service, road damage. The property taxes from these houses should do the trick. ( for those who don’t get sarcasm…..this is it.)
Most of you who think it’s ok are implants. You are in Johnston Co because you hated the place you were living.